Hamilton School Link and other cycleway technical advice

Objective

Provide technical advice regarding designs for School Link pathways and other cycleways

Client

Hamilton City Council

Location

Hamilton

Deliverable

Technical advice and design plans/memos

Timeframe

Apr 2022 - Jun 2023

Project Status

Complete

Background

In 2022, Hamilton City Council undertook planning for the School Link component of the Eastern Pathways project. This involved the design and construction of safe walking and cycling infrastructure, as well as bus improvements, along the School Link Corridor of Hukanui and Peachgrove Roads, which connects more than five schools.

As part of this, the Council engaged ViaStrada as a Technical Advisor to play a key role on the client-side during the design process. This involved a site visit, a review of some of the draft design plans, and an assessment of some of the potential project risks.

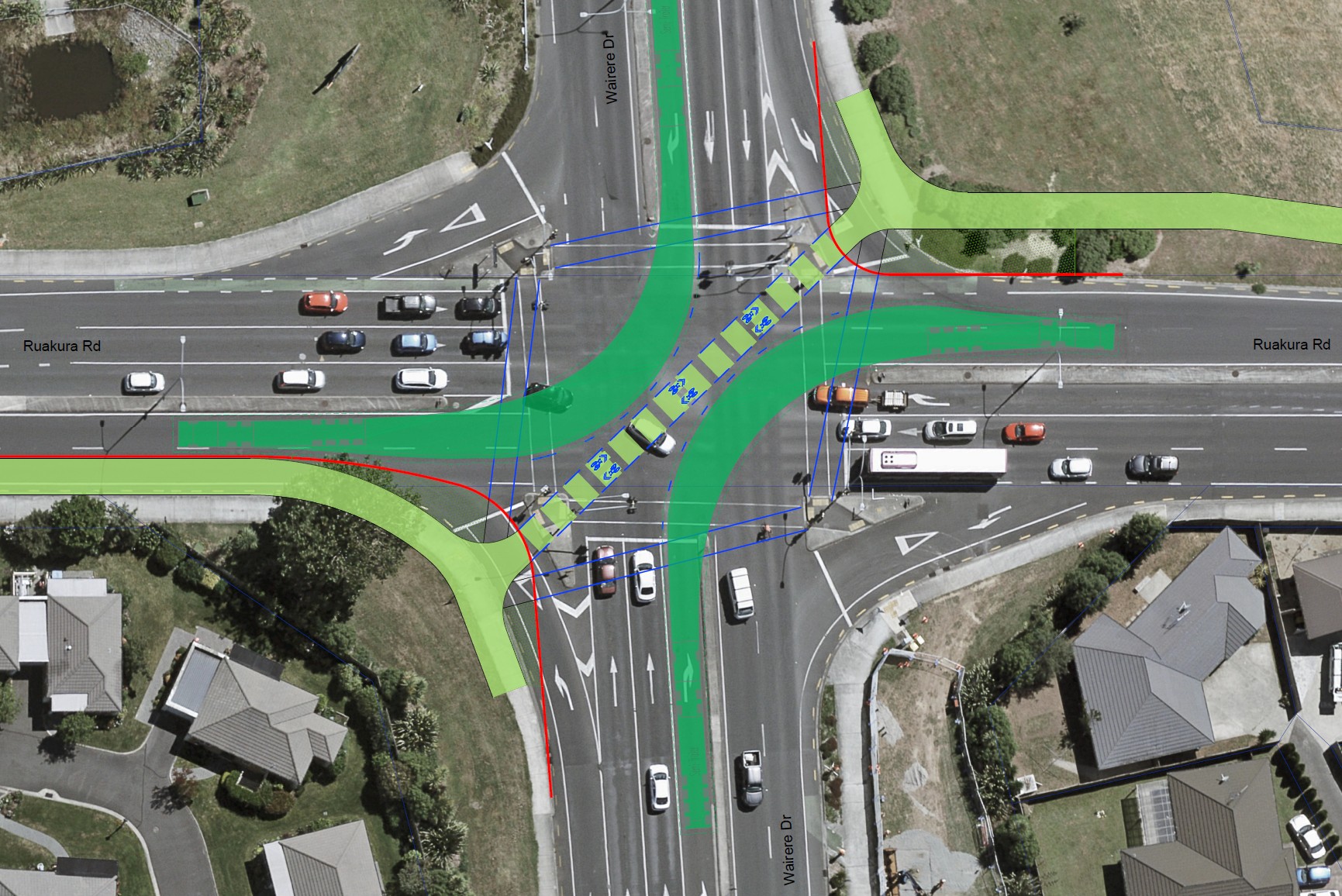
Separately, ViaStrada investigated options for cycling measures near the intersection of Ruakura Road and Wairere Drive. This crossing linked and connected an existing cycling facility to nearby residential and commercial areas, allowing users to continue on to future facilities and access local schools in the area. We provided drawings and recommendations for the best placement and design of a bi-directional crossing, including potential diagonal crossing.

We also provided cycle design advice regarding dual crossings near the Killarney/Queens/Lake intersections and cycleway signal phasing advice for the Killarney/Greenwood intersection.

Links: https://hamilton.govt.nz/strategies-plans-and-projects/projects/eastern-pathways